
Active Listing by: Mtn. Meadows Realty
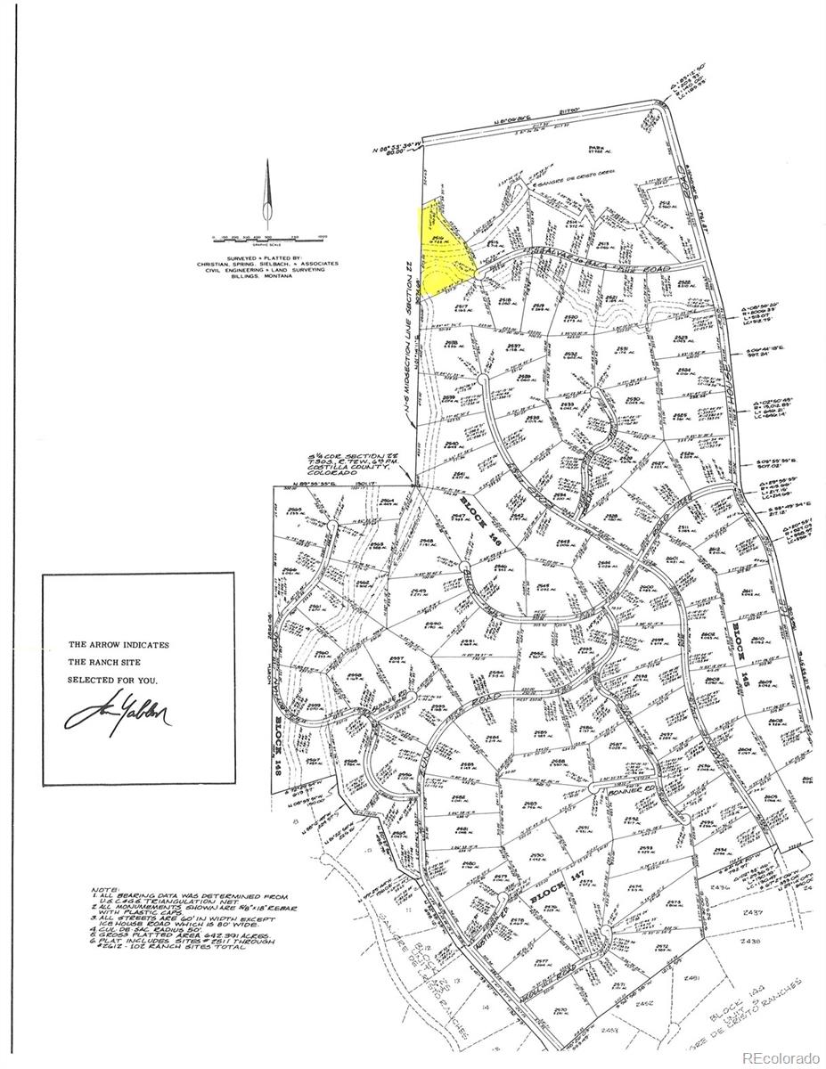
Nearly 7 acres of Rocky Mountain land resting in the Sangre de Cristo Ranches on a cul-de-sac near Fort Garland. The lot has an irrigation canal and a stream easement running through the property. The parcel contains 6.722 Acres, survey plat available.
No water rights are included, but this would be a prime fishing site! The lot meanders down on a walkable slope to Sangre de Cristo Creek. The upper section of the land climbs a beautiful rocky vista through the pinon pines opening up to a breathtaking view of Mt. Blanca and historic town of Fort Garland. The lower section of land is thickly covered with willows and can be quite damp. There is an opening where one could carve out a nice camp site in the grassy area.
The view of Mt. Blanca , (one of the Fourteeners) is evident in almost every direction. Power is quite a ways back on Alvar de Baca Rd ,off grid solar would be a great option!
The content relating to real estate for sale in this Web site comes in part from the Internet Data eXchange ("IDX") program of METROLIST, INC., DBA RECOLORADO® Real estate listings held by brokers other than Mtn.Meadows Realty are marked with the IDX Logo. This information is being provided for the consumers' personal, non-commercial use and may not be used for any other purpose. All information subject to change and should be independently verified. The listing broker’s offer of compensation is made only to participants of the MLS where the listing is filed. This publication is designed to provide information with regard to the subject matter covered. It is displayed with the understanding that the publisher and authors are not engaged in rendering real estate, legal, accounting, tax, or other professional services and that the publisher and authors are not offering such advice in this publication. If real estate, legal, or other expert assistance is required, the services of a competent, professional person should be sought. The information contained in this publication is subject to change without notice. METROLIST, INC., DBA RECOLORADO MAKES NO WARRANTY OF ANY KIND WITH REGARD TO THIS MATERIAL, INCLUDING, BUT NOT LIMITED TO, THE IMPLIED WARRANTIES OF MERCHANTABILITY AND FITNESS FOR A PARTICULAR PURPOSE. METROLIST, INC., DBA RECOLORADO SHALL NOT BE LIABLE FOR ERRORS CONTAINED HEREIN OR FOR ANY DAMAGES IN CONNECTION WITH THE FURNISHING, PERFORMANCE, OR USE OF THIS MATERIAL. PUBLISHER'S NOTICE: All real estate advertised herein is subject to the Federal Fair Housing Act and the Colorado Fair Housing Act, which Acts make it illegal to make or publish any advertisement that indicates any preference, limitation, or discrimination based on race, color, religion, sex, handicap, familial status, or national origin. METROLIST, INC., DBA RECOLORADO will not knowingly accept any advertising for real estate that is in violation of the law. All persons are hereby informed that all dwellings advertised are available on an equal opportunity basis. © 2025 METROLIST, INC., DBA RECOLORADO® - All Rights Reserved 6455 S. Yosemite St., Suite 500 Greenwood Village, CO 80111 USA ALL RIGHTS RESERVED WORLDWIDE. No part of this publication may be reproduced, adapted, translated, stored in a retrieval system or transmitted in any form or by any means, electronic, mechanical, photocopying, recording, or otherwise, without the prior written permission of the publisher. The information contained herein including but not limited to all text, photographs, digital images, virtual tours, may be seeded and monitored for protection and tracking.
Data services provided by IDX Broker
| Price: | $$32,500 |
| Address: | 2516 Alvar De Baca Road |
| City: | Fort Garland |
| County: | Costilla |
| State: | Colorado |
| Subdivision: | Sangre de Cristo Ranches |
| MLS: | 9356502 |
| Acres: | 6.72 |
| Lot Square Feet: | 6.72 acres |